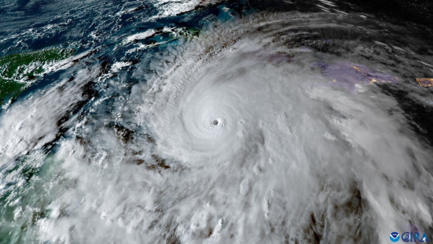
El huracán Melissa, considerado el más potente de la actual temporada atlántica, comenzó a alejarse de Jamaica este martes, 28 de octubre, luego de tocar tierra al mediodía como un fenómeno de categoría 5 con vientos sostenidos de hasta 295 km/h.
Aunque ha perdido algo de intensidad y fue degradado a categoría 4, según últimos reportes del Centro Nacional de Huracanes de los Estados Unidos (NHC, por sus siglas en inglés), sus vientos todavía alcanzan los 230 km/h, lo que lo convierte en una amenaza significativa para las regiones que se encuentran en su trayectoria.
LEA TAMBIÉN: LLUVIAS, FUERTES VIENTOS E INUNDACIONES: LOS IMPACTANTES VIDEOS DEL HURACÁN MELISSA EN SU PASO POR JAMAICA, VAN TRES FALLECIDOS
«El huracán extremadamente potente Melissa comienza a alejarse de Jamaica y se dirige hacia el este de Cuba», informó en su último boletín el NHC.
Asimismo, el NHC ubicó el centro del huracán 20 kilómetros al este de la Bahía de Montego y 325 kilómetros al sur de Guantánamo, en Cuba.
5 pm EDT – Extremely powerful Hurricane #Melissa beginning to pull away from Jamaica and headed toward eastern Cuba. Here are the Key Messages. Visit https://t.co/tW4KeGe9uJ for updates. pic.twitter.com/HsuOCgzfGA
— National Hurricane Center (@NHC_Atlantic) October 28, 2025
¿CUÁNDO IMPACTARÁ EN CUBA?
De acuerdo con el organismo estadounidense, lo que se prevé, es que Melissa mantenga su desplazamiento pausado hacia el nornoreste, con probabilidad de impactar el extremo suroriental de Cuba durante la mañana de este miércoles.
En concreto, lo que se anticipó, es que Melissa impactará el sureste de Cuba como un huracán de gran intensidad y alto riesgo, mientras que desde esta tarde se pronosticó la llegada de vientos violentos y marejadas ciclónicas en la zona oriental de la isla. Ante este escenario, se instó a los habitantes a resguardarse en lugares seguros
En el este de Cuba se esperan acumulaciones de hasta 63 centímetros (25 pulgadas), con riesgo de deslizamientos e inundaciones «potencialmente catastróficas».
Tras azotar Cuba, Melissa golpearía Bahamas, las Islas Turcas y Caicos, además de Bermudas, entre el mismo miércoles y jueves.
PASO POR JAMAICA
El huracán Melissa, que tocó Jamaica como categoría 5, superó los vientos máximos de Katrina (297 km/h frente a 280 km/h) y marca récords históricos en el Atlántico, con una presión central mínima de 892 milibares, la quinta más fuerte registrada.
Durante su paso por la isla, Melissa dejó al menos tres muertos y provocó estragos considerables. Las autoridades reportaron inundaciones repentinas, deslizamientos de tierra y daños generalizados en la infraestructura.
Antes, durante el pasado fin de semana, se registraron otros tres fallecidos en Haití, dos en Panamá y uno más en República Dominicana. En todos estos países igualmente hubo fuertes lluvias e inundaciones en días previos.
